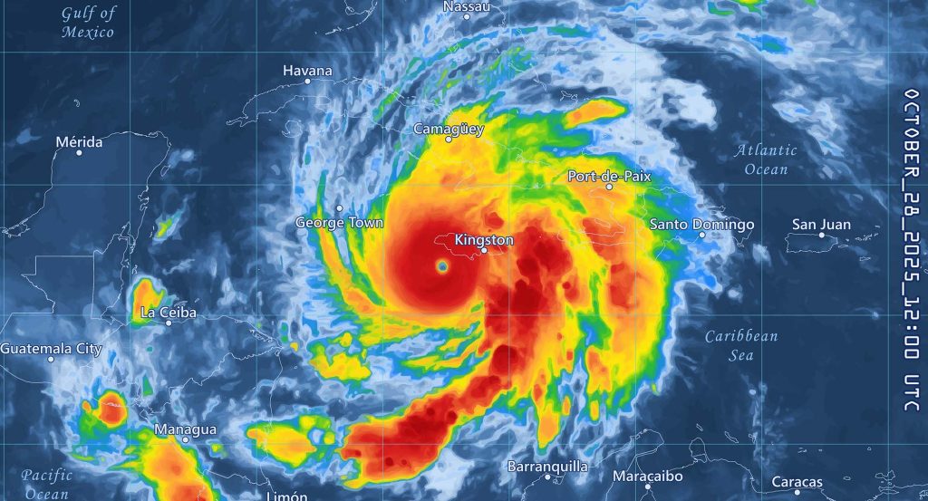
Caribbean Container Operations Disrupted by Hurricane Melissa

 Hurricane Melissa, a Category 5 storm, made direct passage over Western Jamaica, leaving extensive damage in its wake. In a press briefing released through the Jamaica Information Service (JIS) on October 30, Minister of Energy and Telecommunications, Daryl Vaz, stated that over 70% of the country remained without power.

A ShippingWatch report published days before the hurricane hit Jamaica, warned that its impact would likely lead to shipping delays, port bottlenecks, and disruptions to container traffic across the region. The article emphasized the broader repercussions, as Caribbean ports are key transshipment hubs for trade between the North and South American routes.

Lars Jensen, CEO of Vespucci Maritime, commented on LinkedIn that Kingston serves as a regular port of call for twelve deep-sea services, excluding short regional routes. He assessed that shipping lines would either wait for the port to reopen, or “temporarily switch transshipment cargo operations to other hubs in the region – potentially creating congestion and vessel waiting times in Panama, Cartagena, Caucedo, and Freeport as the most obvious alternate choices.”

According to the press briefing through JIS, Minister of Information Dana Morris Dixon said operations are gradually resuming at the Port of Kingston, with vessels scheduled to arrive on October 30.

Source: Jamaica Information Service, ShippingWatch, Vespucci Maritime

View a message from our Caribbean General Manager

Categories

  Related Topics:

Privacy Overview

This website uses cookies so that we can provide you with the best user experience possible. Cookie information is stored in your browser and performs functions such as recognising you when you return to our website and helping our team to understand which sections of the website you find most interesting and useful.